Type your search query and hit enter:
Hurricane
Weather
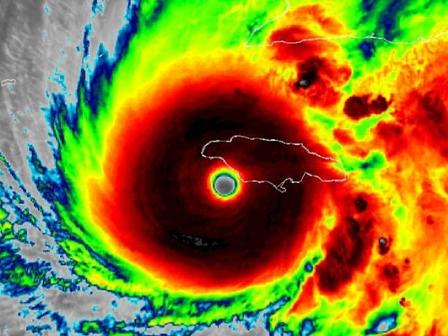
NOAA: Category 5 Hurricane Melissa Projected Path, Spaghetti Models
October 28, 2025
Weather
NOAA: Category 4 Hurricane Melissa Projected Path, Spaghetti Models
October 26, 2025
Weather
NOAA: Hurricane Melissa Projected Path, Spaghetti Models
October 25, 2025
Weather
NOAA: Tropical Storm Melissa 2025 Projected Path, Spaghetti Models
October 25, 2025
Weather
NOAA: Tropical Storm Melissa Projected Path, Spaghetti Models
October 23, 2025
Hurricane
NOAA: Invest 98L 2025 Projected Path, Spaghetti Models
October 21, 2025
National Hurricane Center
NOAA: 30% Chance Tropical Cyclone Forms Over Caribbean
October 17, 2025
Weather
NOAA: Tropical Storm Jerry Projected Path, Spaghetti Models
October 7, 2025
Hurricane
NOAA: Invest 95L 2025 Projected Path, Spaghetti Models
October 6, 2025
National Hurricane Center
NOAA: 10% Chance Tropical Cyclone Forms Off Florida
October 3, 2025
Show more Posts
Contact Us
Privacy Policy
Copyright 2023-2025 FloridaWord.com